Close Menu
AzerVoice Logo
    Facebook X (Twitter) Linkedin Youtube

    AzerVoice

    • Baş xəbər
    • Xəbər lenti
    • Siyasət
    • Türk Dövlətləri
    • Digər Dövlətlər
      • Şimali Afrika
      • Yaxın Şərq
    • Təhlil
    Facebook X (Twitter) Linkedin Youtube
    AzerVoice
    Digər Xəbərlər

    Melissa qasırğası Haitidə 20-dən çox insanın həyatına son qoyub

    30 Oktyabr 2025 11:44
    Facebook Twitter Pinterest Copy Link Telegram LinkedIn Tumblr Email
    Facebook Twitter LinkedIn Pinterest Email

    BAKI, AzerVoice, Nailə Babazadə

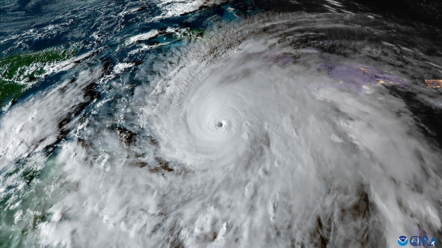
    Haitinin cənubunda Melissa qasırğasının səbəb olduğu güclü yağışlar nəticəsində La Digue çayının daşması fəlakətə yol açıb. Nəticədə azı 25 nəfər həyatını itirib.

    AzerVoice xəbər verir ki, Petit-Goave adlı sahil qəsəbəsinin meri Jan Bertrand Subreme, çayın daşması nəticəsində çox sayda evin su altında qaldığını və onlarla insanın qalıqlar altında qaldığını bildirib. O, hökumətə xilasetmə əməliyyatları üçün təcili yardım çağırışı edib.

    Qasırğa Karib hövzəsinin digər ölkələrinə də ciddi zərbə vurub. Yamaykada təxminən 25 min nəfər sığınacaqlara təxliyə edilib.

    Yamayka təhsil naziri Dana Morris Dixon, adanın 77 faizində elektrik enerjisinin kəsildiyini, lakin su təchizatı sistemlərinin qasırğadan ciddi şəkildə zərər görmədiyini açıqlayıb.

    Hökumət rəsmisi Fitz-Henley isə yerli radioya verdiyi açıqlamada, ölkənin qərbində ağacın bir körpənin üzərinə düşməsi nəticəsində azı bir nəfərin öldüyünü bildirib.

    Sürəti saatda 295 kilometrə çatan və gücünə görə “5-ci kateqoriya” səviyyəsinə yüksələn Melissa qasırğası hazırda Haiti, Yamayka və Kubada təsirini davam etdirir.

    Kuba Prezidenti Migel Dias-Kanel bildirib ki, ölkədə 735 mindən çox insan təhlükəsizlik məqsədilə təxliyə olunub.

    ABŞ Dövlət Departamentinin rəsmiləri Associated Press agentliyinə verdikləri açıqlamada, Karib ölkələrinə yardım və axtarış-xilasetmə qruplarının göndərildiyini deyiblər.

    Rəsmilərin sözlərinə görə, yardım qruplarının 24–48 saat ərzində Yamayka, Bahamalar və Dominikan Respublikasına çatması gözlənilir.

    #sel #Haiti #sel fəlakəti #qasırğa #qasırğa xəbərdarlığı #Melissa qasırğası
    Facebook Twitter Pinterest LinkedIn Tumblr Email Copy Link

    Oxşar Xəbərər

    Sudan yenidən dünyanın ən ağır humanitar böhranı olan ölkəsi seçilib

    16 Dekabr 2025 10:10

    Futbol üzrə DÇ-2026-nın püşkatma mərasimi keçirilib

    6 Dekabr 2025 09:17

    Taylandın cənubunda sel fəlakətində ölənlərin sayı 150-ə çatıb

    28 Noyabr 2025 15:33

    Filippində tayfun fəlakəti nəticəsində ölənlərin sayı 200 nəfəri keçib

    8 Noyabr 2025 11:33

    Filippində tayfun fəlakəti nəticəsində ölənlərin sayı artıb

    6 Noyabr 2025 10:38

    Vyetnamda sel və torpaq sürüşmələri nəticəsində ölənlərin sayı 30- u keçib

    3 Noyabr 2025 11:54

    Meksikada güclü yağışların törətdiyi sel fəlakətində ölənlərin sayı 72-yə yüksəldi

    18 Oktyabr 2025 12:10

    Filippinlərdə musson yağışları və tayfun böyük fəsadlar yaradıb

    22 Sentyabr 2025 14:39

    Havay adalarında "Kiko" qasırğası ilə bağlı xəbərdarlıq edilib

    6 Sentyabr 2025 18:00

    Pakistanda daşqınlar səbəbindən 300 minə yaxın insan təxliyə edilib

    3 Sentyabr 2025 17:21

    Pakistanda daşqın fəlakəti - Pəncabda 33 nəfər həyatını itirib

    1 Sentyabr 2025 11:55

    Ərdoğan Pakistanda sel qurbanlarına dəstəyini bildiriib

    28 Avqust 2025 17:05
    Demo
    XƏBƏR LENTİ

    Britaniyada Fələstin tərəfdarı fəallar aclıq elan ediblər

    Heydər Əliyev Fondunun vitse-prezidenti Leyla Əliyeva ÜST-nin Avropa üzrə Regional Ofisinin xüsusi nümayəndəsi ilə görüşüb

    Əlahiddə Ümumqoşun Ordunun 12-ci ildönümü qeyd edilib

    İsrail maneələri Qəzzada humanitar fəaliyyəti iflic edir - BMT

    Azərbaycan-Oman iqtisadi əməkdaşlığı müzakirə edilib

    Dövlət Komitəsinin sədri ABŞ-nin Azərbaycandakı Müvəqqəti işlər vəkili ilə görüşüb

    SDQ vaxt qazanmağa çalışır - Hakan Fidan

    Parisdə Livan Ordusuna dəstək və Hizbullahın tərksilahı müzakirə edilib

    Azərbaycan dezinformasiyaya qarşı mübarizənin nə demək olduğunu hər kəsdən yaxşı anlayır - Cavid Musayev

    Sərhədləri aşan baxış: Türkiyə kəşfiyyat qaydalarını yenidən yazır

    Reklam
    Demo
    Facebook X (Twitter) Linkedin Youtube
    © 2025 Azervoice.
    • Haqqımızda
    • İstifadə şərtləri
    • Məxfilik siyasəti
    • Xəbər lenti

    Axtarış üçün yuxarıya yazın və Enter düyməsinə basın. Ləğv etmək üçün Esc düyməsini sıxın.